Suczka Klara potrzebuje endoprotezy biodra

Suczka Klara potrzebuje endoprotezy biodra
Bezdomna Klara potrzebuje nowego biodra. Suczka owczarka jest podopieczną stowarzyszenia Pieski Instytut Pomocy z Piły.

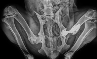
Klara to stosunkowo młody pies, bo ma około 5 lat, ale jej stan bioder jest katastrofalny. Weterynarze jednoznacznie orzekli konieczność endoprotezowania, aby pies mógł chodzić. W kwietniu udało się przeprowadzić pierwszy zabieg, kolejny jest zaplanowany w październiku, jednak wciąż brakuje pieniędzy. Endoproteza kosztuje 15 tys. zł. Na koncie zrzutki jest już ponad 5 tys. zł. Ale to wciąż za mało. 

- Pierwszy zabieg był obarczony dużym ryzykiem, ponieważ biodra Klary praktycznie nie istniały, zwyrodnienia były tak wielkie, że staw trzeba było „stworzyć” od nowa. Już po dwóch miesiącach od operacji było widać, że Klara chętniej korzysta z nowego biodra, niż ze starego, które wciąż niemiłosiernie boli. Dlatego ponownie zwracam się do wszystkich ludzi dobrej woli o pomoc. Bez Was nie dam rady. Grosz do grosza i musi się udać, chociaż czasy są bardzo ciężkie. Zachęcam do wpłat cyklicznych - na przykład co miesiąc drobna sumka dla Klary. Liczy się każda, nawet najmniejsza wpłata, dlatego proszę - udostępniajcie zrzutkę gdzie się da, opowiadajcie o Klarze znajomym i przyjaciołom - prosi Beata Januszewska z Pieskiego Instytutu Pomocy w Pile. 

Klara wciąż szuka stałego domu. Obecnie przebywa w domu tymczasowym we Wrocławiu. ABY WESPRZEĆ OPERACJĘ KLARY WYSTARCZY KLIKNĄĆ TU 

- Działamy już od kilku lat. Naszym głównym celem statutowym jest pomoc bezdomnym psom poprzez aktywne poszukiwanie domów oraz pomoc w polepszeniu stanu zdrowia. Klara jest naszą nasza podopieczną od ponad roku. We wrześniu odbędzie się bazarek z którego cały dochód przeznaczony będzie na potrzeby Klary - dodaje Beata Januszewska. 

Pieniądze wpłacać można również na konto stowarzyszenia: stowarzyszenie Pieski Instytut Pomocy, konto nr 30 1750 0012 0000 0000 3870 3242, tytuł wpłaty "darowizna na endoprotezę dla Klary".
PayPal: pieskiinstytutpomocy@gmail.com

fot. Pieski Instytut Pomocy w Pile 

Galeria

Suczka Klara potrzebuje endoprotezy biodra Suczka Klara potrzebuje endoprotezy biodra Suczka Klara potrzebuje endoprotezy biodra Suczka Klara potrzebuje endoprotezy biodra

Komentarze

Zobacz także

Nie znaleziono żadnych artykułów.